Viewing Listing MLS# 2500079
Green Sea, SC 29545
- FAZoning
- AcreageType
- N/A# Lots
- WellWater
- HorryCounty
- 1.62Acres
- MLS# 2500079
- Land
- Acreage
- Active
- Approx Time on Market1 year, 4 months, 26 days
- AreaLoris Area--West of Loris & North of Hwy 9
- CountyHorry
- Subdivision Not within a Subdivision
Overview
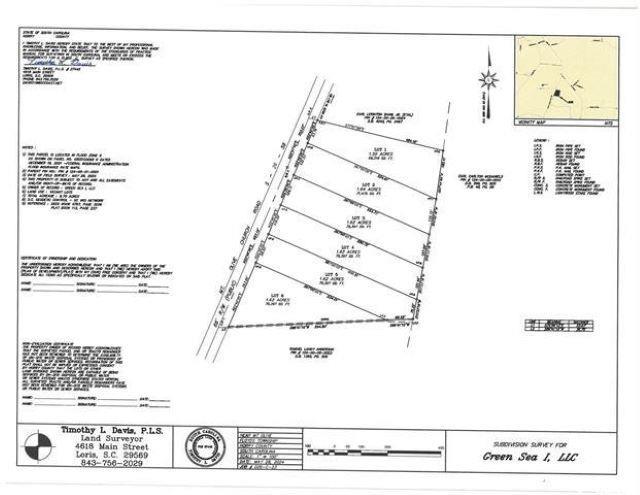
Fantastic tract of cleared land with exceptional soil (Lot 4). In the pictures, the second image shows a plat of the proposed subdivision for the tract. Please note that the land has not yet been subdivided, and the subdivision layout can be adjusted based on the buyer's needs. The owner is willing to sell either the entire tract or select lots, with the condition that the lots be purchased in sequence, either from left to right or right to leftno random selections. The lot will require a well and septic system. There are certain restrictions in place for building on this land. Homes must be stick-built, modular, or doublewide, with a minimum of 1,200 sq ft. A covered front porch of at least 4x8 is required, and the foundation must be made of stone or brickplastic or vinyl underpinnings are not allowed. Additionally, there must be at least one stall in the carport. If a mobile home is placed on the property, it must be 2015 or newer. This is a great opportunity for someone looking for a property with flexibility and room for customization.
Agriculture / Farm
Association Fees / Info
Hoa Frequency: Monthly
Bathroom Info
Building Info
Zoning: FA
Buyer Compensation
Exterior Features
Financial
Garage / Parking
Interior Features
Lot Info
Acres: 1.62
Lot Description: OutsideCityLimits, Rectangular, RectangularLot, Acreage
Misc
Offer Compensation
Other School Info
Property Info
County: Horry
Road Frontage Type: CountyRoad
Stipulation of Sale: None
Property Sub Type Additional: Acreage
Room Info
Sold Info
Tax Info
Utilities / Hvac
Sewer: SepticPermit
Utilities Available: ElectricityAvailable
Water Source: Well
Waterfront / Water
Directions
The land has not yet been assigned an address. SO, GPS 3233 Mount Olive Church RD. Green Sea. Proceed approx 1/4 mile past this address. You will see a NextHome Sign on the Right. Turn into the driveway and park.Courtesy of Nexthome The Agency Group Mb





Recent Posts RSS
MLS# 2612325
Provided courtesy of © Copyright 2026 Coastal Carolinas Multiple Listing Service, Inc.®. Information Deemed Reliable but Not Guaranteed. © Copyright 2026 Coastal Carolinas Multiple Listing Service, Inc.® MLS. All rights reserved. Information is provided exclusively for consumers’ personal, non-commercial use, that it may not be used for any purpose other than to identify prospective properties consumers may be interested in purchasing.
Images related to data from the MLS is the sole property of the MLS and not the responsibility of the owner of this website. MLS IDX data last updated on 05-28-2026 5:04 PM EST.
Any images related to data from the MLS is the sole property of the MLS and not the responsibility of the owner of this website.