Viewing Listing MLS# 2502912
Pawleys Island, SC 29585
- commercialZoning
- CommercialType
- 1# Lots
- PublicWater
- GeorgetownCounty
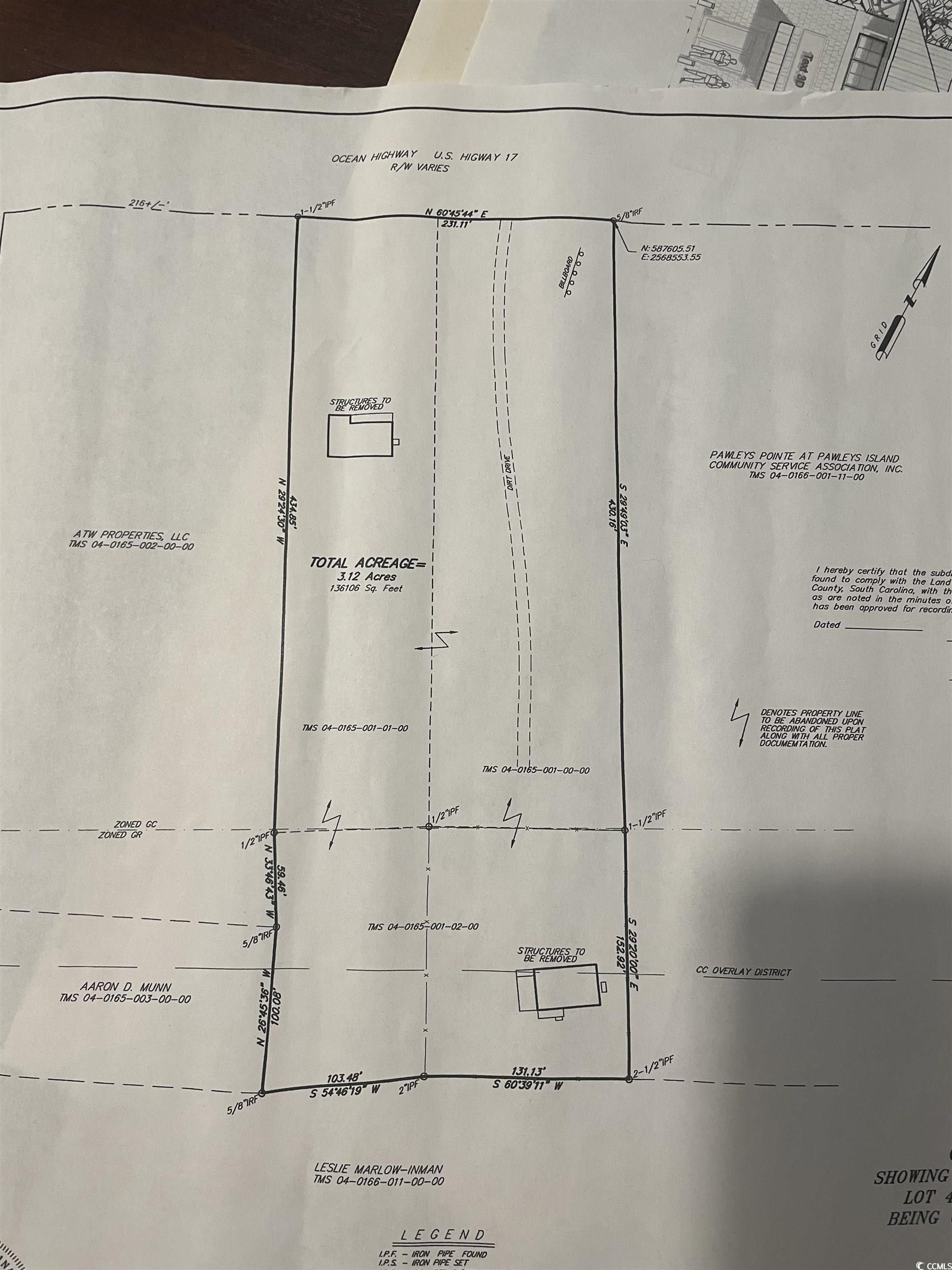
- 3.12Acres
- MLS# 2502912
- Land
- Commercial
- Active
- Approx Time on Market10 months, 16 days
- AreaPawleys Island Area-Litchfield Mainland
- CountyGeorgetown
- Subdivision Not within a Subdivision
Overview
Prime commercial lot located in the middle of Pawleys Island on busy highway 17. Ideal location for almost any time of business venture. Property was three lots that have been rezoned for general commercial one lot. Pawleys Island is a very fast growing community between Myrtle Beach SC and Charleston SC. Highway 17 is the busiest coastal highway on the east coast and all coastal traffic must pass by this lot. Very few commercial lots of this size are still available.
Agriculture / Farm
Association Fees / Info
Hoa Frequency: Monthly
Bathroom Info
Building Info
Zoning: commercial
Buyer Compensation
Exterior Features
Financial
Number of Lots: 1
Garage / Parking
Interior Features
Lot Info
Acres: 3.12
Lot Size: 234x430x231x434
Lot Description: CityLot, Rectangular, RectangularLot
Misc
Offer Compensation
Other School Info
Property Info
County: Georgetown
Road Frontage Type: StateRoad
Road Surface Type: Asphalt
Stipulation of Sale: None
Property Sub Type Additional: Commercial,UnimprovedLand
Room Info
Sold Info
Tax Info
Utilities / Hvac
Sewer: PublicSewer
Utilities Available: ElectricityAvailable, SewerAvailable, WaterAvailable
Water Source: Public
Waterfront / Water
Directions
Located on highway 17 in Pawleys Island next to the Speedway.Courtesy of Lpt Realty, Llc. - Office: 877-366-2213





Recent Posts RSS
MLS# 2514748
Provided courtesy of © Copyright 2025 Coastal Carolinas Multiple Listing Service, Inc.®. Information Deemed Reliable but Not Guaranteed. © Copyright 2025 Coastal Carolinas Multiple Listing Service, Inc.® MLS. All rights reserved. Information is provided exclusively for consumers’ personal, non-commercial use, that it may not be used for any purpose other than to identify prospective properties consumers may be interested in purchasing.
Images related to data from the MLS is the sole property of the MLS and not the responsibility of the owner of this website. MLS IDX data last updated on 12-20-2025 4:19 PM EST.
Any images related to data from the MLS is the sole property of the MLS and not the responsibility of the owner of this website.