Viewing Listing MLS# 2503352
Nichols, SC 29581
- FAZoning
- ManufacturedOnLandType
- N/A# Lots
- PublicWater
- HorryCounty
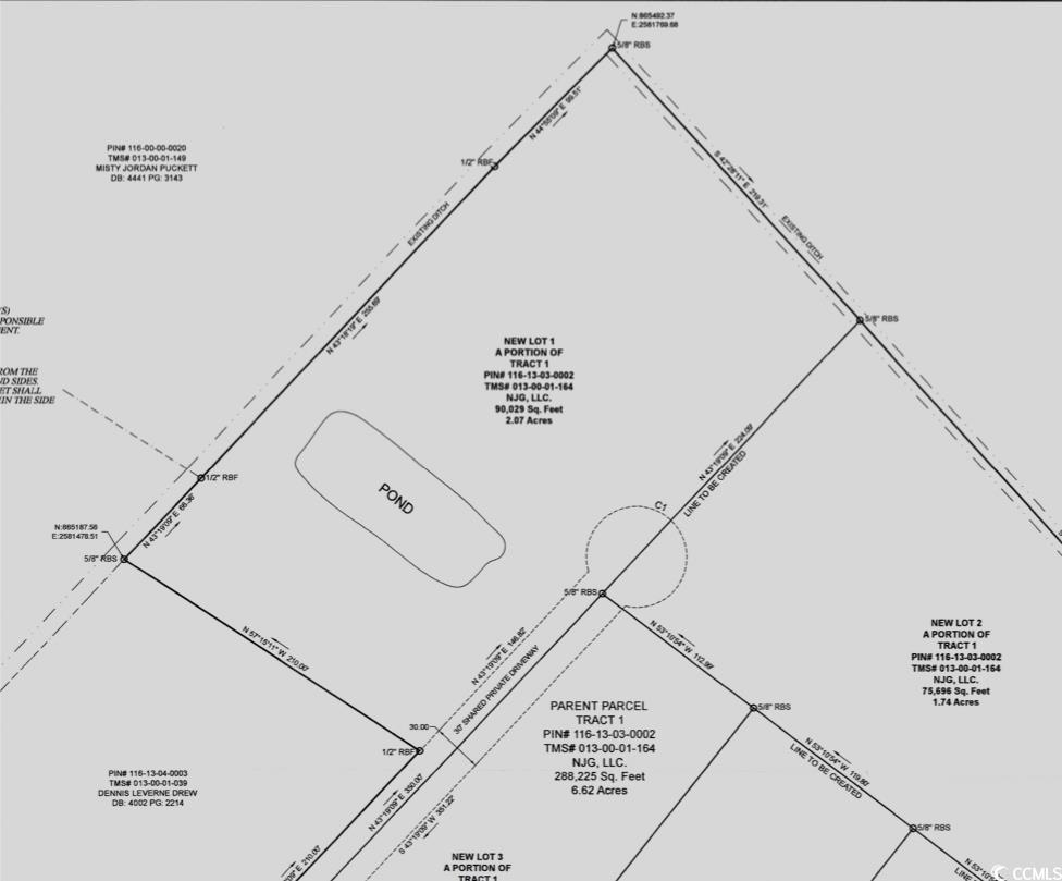
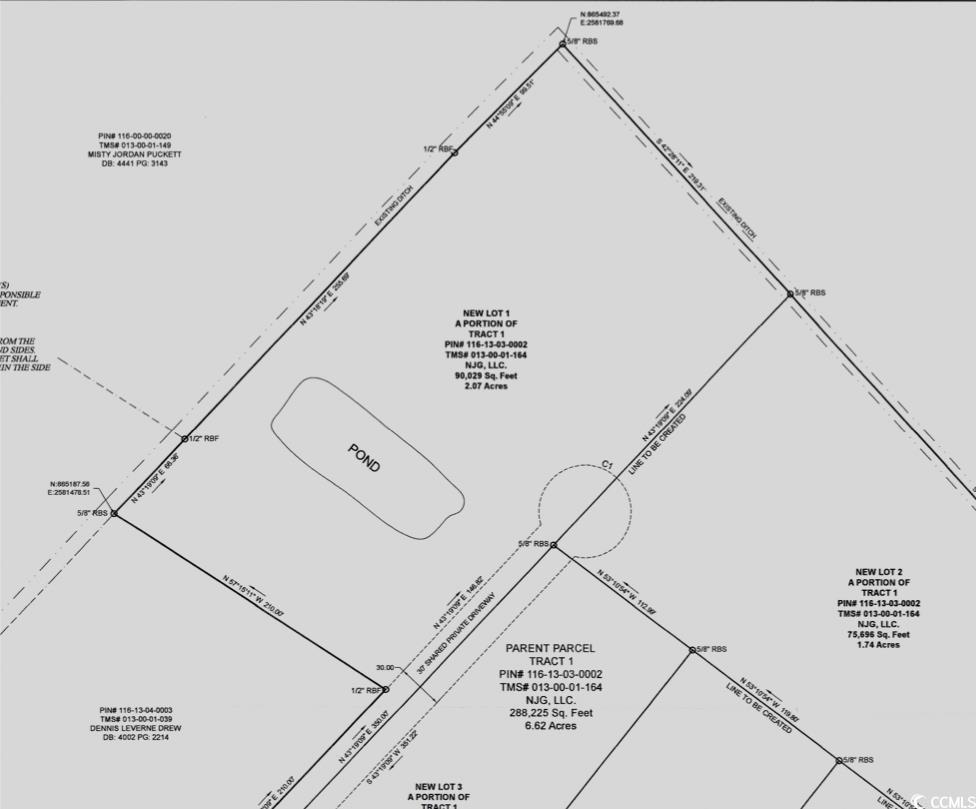
- 2.07Acres
- MLS# 2503352
- Land
- ManufacturedOnLand
- Active
- Approx Time on Market1 year, 3 months, 18 days
- AreaLoris Area--West of Loris & North of Hwy 9
- CountyHorry
- Subdivision Not within a Subdivision
Overview
Beautiful lot on Highway 9 in Nichols SC! Excellent value for this 2.07 Acre lot that even comes with a pond! Easement to the property. No HOA and no deed restrictions make this plot of land superior. Build at your own pace no timeframe required. Zoned FA which allows for stick built homes, manufactured, or modular designed homes. Check it out today, 5 total lots available, call for any questions while they are available!
Agriculture / Farm
Association Fees / Info
Hoa Frequency: Monthly
Bathroom Info
Building Info
Zoning: FA
Buyer Compensation
Exterior Features
Financial
Garage / Parking
Interior Features
Lot Info
Acres: 2.07
Lot Size: 210x256x219x224
Lot Description: OutsideCityLimits, Rectangular, RectangularLot
Misc
Offer Compensation
Other School Info
Property Info
County: Horry
Road Frontage Type: CountyRoad
Stipulation of Sale: None
Property Sub Type Additional: ManufacturedOnLand
Room Info
Sold Info
Tax Info
Utilities / Hvac
Sewer: SepticPermit
Utilities Available: CableAvailable, ElectricityAvailable, PhoneAvailable, WaterAvailable
Water Source: Public
Waterfront / Water
Courtesy of Keller Williams The Forturro G





Recent Posts RSS
MLS# 2610355
Provided courtesy of © Copyright 2026 Coastal Carolinas Multiple Listing Service, Inc.®. Information Deemed Reliable but Not Guaranteed. © Copyright 2026 Coastal Carolinas Multiple Listing Service, Inc.® MLS. All rights reserved. Information is provided exclusively for consumers’ personal, non-commercial use, that it may not be used for any purpose other than to identify prospective properties consumers may be interested in purchasing.
Images related to data from the MLS is the sole property of the MLS and not the responsibility of the owner of this website. MLS IDX data last updated on 05-29-2026 10:47 AM EST.
Any images related to data from the MLS is the sole property of the MLS and not the responsibility of the owner of this website.