Viewing Listing MLS# 2506690
Conway, SC 29526
- HCZoning
- AcreageType
- N/A# Lots
- PublicWater
- HorryCounty
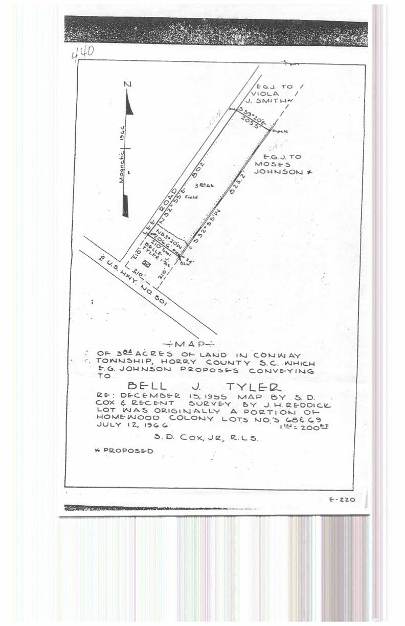
- 3.09Acres
- MLS# 2506690
- Land
- Acreage
- Active
- Approx Time on Market11 months, 12 days
- AreaConway Central Between 501 & 701 / North of 501
- CountyHorry
- Subdivision Not within a Subdivision
Overview
FOR SALE: Approximately 3.09 Acres located in Conway, SC. This tract is located along Cultra Road just one parcel off the signalized intersection of US Highway 501. Annexation into the City of Conway required to obtain city water service.
Agriculture / Farm
Association Fees / Info
Hoa Frequency: Monthly
Bathroom Info
Building Info
Zoning: HC
Buyer Compensation
Exterior Features
Financial
Garage / Parking
Interior Features
Lot Info
Acres: 3.09
Lot Description: Rectangular, RectangularLot, Acreage
Misc
Offer Compensation
Other School Info
Property Info
County: Horry
Road Frontage Type: StateRoad
Road Surface Type: Asphalt
Stipulation of Sale: None
Property Sub Type Additional: Acreage
Room Info
Sold Info
Tax Info
Utilities / Hvac
Utilities Available: ElectricityAvailable, SewerAvailable, WaterAvailable
Water Source: Public
Waterfront / Water
Courtesy of Keystone Realty Mb, Llc





Recent Posts RSS
MLS# 2523094
Provided courtesy of © Copyright 2025 Coastal Carolinas Multiple Listing Service, Inc.®. Information Deemed Reliable but Not Guaranteed. © Copyright 2025 Coastal Carolinas Multiple Listing Service, Inc.® MLS. All rights reserved. Information is provided exclusively for consumers’ personal, non-commercial use, that it may not be used for any purpose other than to identify prospective properties consumers may be interested in purchasing.
Images related to data from the MLS is the sole property of the MLS and not the responsibility of the owner of this website. MLS IDX data last updated on 12-20-2025 11:48 AM EST.
Any images related to data from the MLS is the sole property of the MLS and not the responsibility of the owner of this website.