Viewing Listing MLS# 2512539
Loris, SC 29569
- LFAZoning
- AcreageType
- N/A# Lots
- N/AWater
- HorryCounty
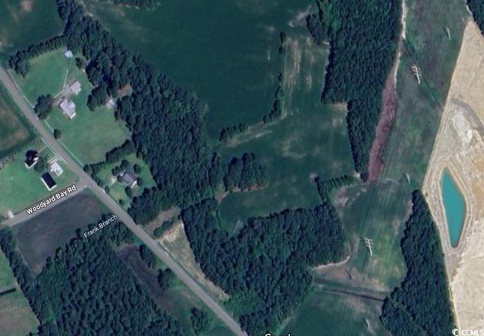
- 20.60Acres
- MLS# 2512539
- Land
- Acreage
- Active
- Approx Time on Market7 months, 2 days
- AreaLoris To Longs Area--South of 9 Between Loris & Longs
- CountyHorry
- Subdivision Not within a Subdivision
Overview
Farmland and wooded areas combine to make this a great potential site for a number of homes on a minimum of 1-acre lots under the present zoning. Power line easement crosses the property on one corner of it.
Agriculture / Farm
Association Fees / Info
Hoa Frequency: Monthly
Bathroom Info
Building Info
Zoning: LFA
Buyer Compensation
Exterior Features
Financial
Garage / Parking
Interior Features
Lot Info
Acres: 20.60
Lot Description: Acreage
Misc
Offer Compensation
Other School Info
Property Info
County: Horry
Stipulation of Sale: None
Property Sub Type Additional: Acreage
Room Info
Sold Info
Tax Info
Utilities / Hvac
Waterfront / Water
Directions
Take Hwy 905 to Red Bluff Road stoplight. Take Red Bluff Road toward Loris for approx. 1 mile and then take Hwy 554 to the left. Go approx. 1 mile and the sign at the property will be on the right. Take the dirt road back approximately 300 feet and the site will open up as is mostly an open field with some clusters of trees.Courtesy of Keller Williams Innovate South





Recent Posts RSS
MLS# 2528463
Provided courtesy of © Copyright 2025 Coastal Carolinas Multiple Listing Service, Inc.®. Information Deemed Reliable but Not Guaranteed. © Copyright 2025 Coastal Carolinas Multiple Listing Service, Inc.® MLS. All rights reserved. Information is provided exclusively for consumers’ personal, non-commercial use, that it may not be used for any purpose other than to identify prospective properties consumers may be interested in purchasing.
Images related to data from the MLS is the sole property of the MLS and not the responsibility of the owner of this website. MLS IDX data last updated on 12-22-2025 8:03 AM EST.
Any images related to data from the MLS is the sole property of the MLS and not the responsibility of the owner of this website.