Viewing Listing MLS# 2527592
Galivants Ferry, SC 29544
- FAZoning
- ResidentialType
- 1# Lots
- PublicWater
- HorryCounty
- 4.95Acres
- MLS# 2527592
- Land
- Residential
- Active
- Approx Time on Market4 months, 5 days
- AreaAynor Area--North of Aynor Below Hwy 917
- CountyHorry
- Subdivision Not within a Subdivision
Overview
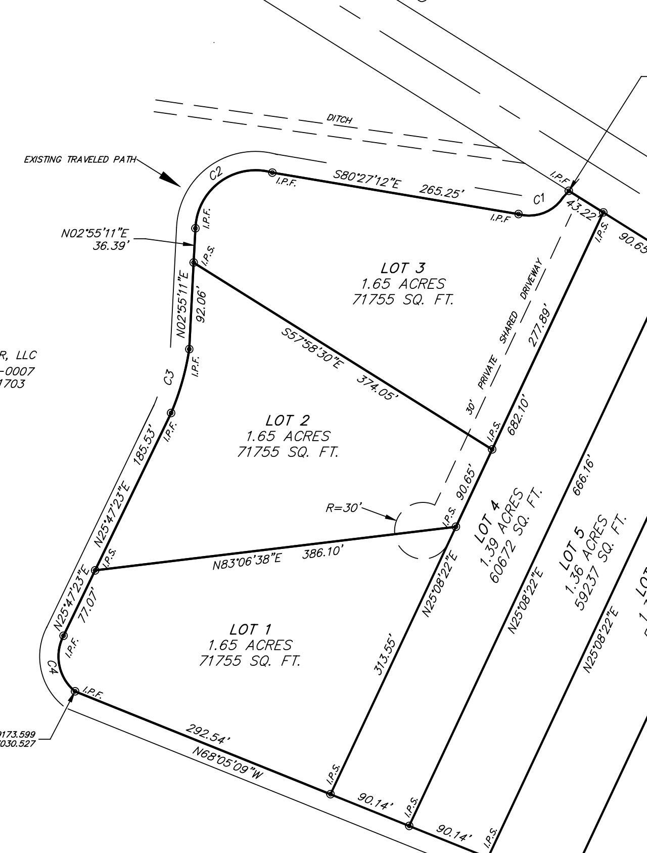
4.95 Acre tract AVAILABLE NOW! Lots 1 2 and 3. 10 CLEARED Lots available total. Proposed split as seen in photos. Choose your lot and build as you please! NO HOA. County water will be available, septics will be required. Fully cleared lots ready to build FLAT, FLAT, FLAT! Zoned for manufactured, modular, or stick built homes! Plenty of space for RVs, Boats, ATVs, Garages and Workshops! Nice and quiet area to enjoy the beautiful country atmosphere in peace. Smaller lots are also available starting from 1 acre. Don't miss out on the endless possibilities this exceptional property presents. Owner will consider owner financing.
Agriculture / Farm
Association Fees / Info
Hoa Frequency: Monthly
Community Features: GolfCartsOk, LongTermRentalAllowed
Assoc Amenities: OwnerAllowedGolfCart, OwnerAllowedMotorcycle, PetRestrictions
Bathroom Info
Building Info
Zoning: FA
Buyer Compensation
Exterior Features
Financial
Number of Lots: 1
Garage / Parking
Interior Features
Lot Info
Acres: 4.95
Lot Description: OutsideCityLimits, Rectangular, RectangularLot, MobileHomeAllowed
Misc
Pets Allowed: OwnerOnly, Yes
Offer Compensation
Other School Info
Property Info
County: Horry
Road Frontage Type: CountyRoad
Road Surface Type: Asphalt
Stipulation of Sale: None
Property Sub Type Additional: Residential,UnimprovedLand
Room Info
Sold Info
Tax Info
Utilities / Hvac
Sewer: SepticApproved
Utilities Available: CableAvailable, ElectricityAvailable, WaterAvailable
Water Source: Public
Waterfront / Water
Courtesy of Keller Williams The Forturro G





Recent Posts RSS
MLS# 2603607
Provided courtesy of © Copyright 2026 Coastal Carolinas Multiple Listing Service, Inc.®. Information Deemed Reliable but Not Guaranteed. © Copyright 2026 Coastal Carolinas Multiple Listing Service, Inc.® MLS. All rights reserved. Information is provided exclusively for consumers’ personal, non-commercial use, that it may not be used for any purpose other than to identify prospective properties consumers may be interested in purchasing.
Images related to data from the MLS is the sole property of the MLS and not the responsibility of the owner of this website. MLS IDX data last updated on 03-22-2026 12:45 PM EST.
Any images related to data from the MLS is the sole property of the MLS and not the responsibility of the owner of this website.