Viewing Listing MLS# 2528456
Loris, SC 29569
- FAZoning
- ResidentialType
- N/A# Lots
- PublicWater
- HorryCounty
- 0.51Acres
- MLS# 2528456
- Land
- Residential
- Active
- Approx Time on Market18 days
- AreaLoris Area--Central Includes City of Loris
- CountyHorry
- Subdivision Not within a Subdivision
Overview
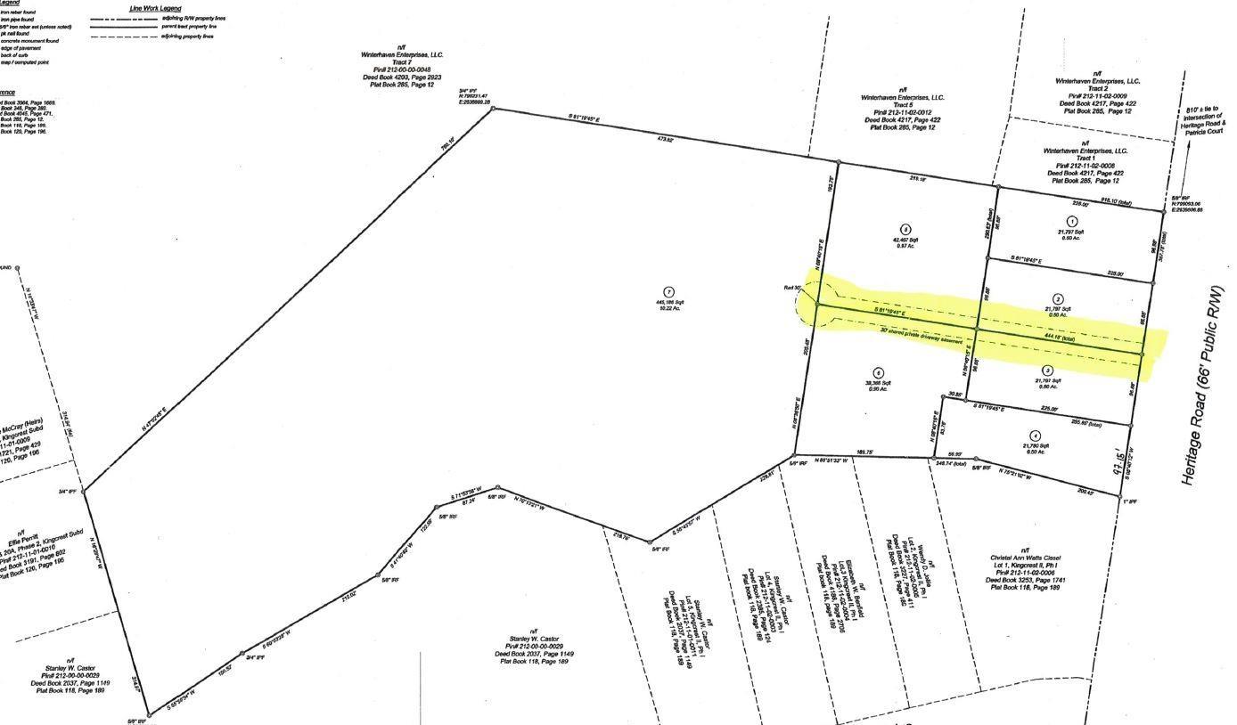
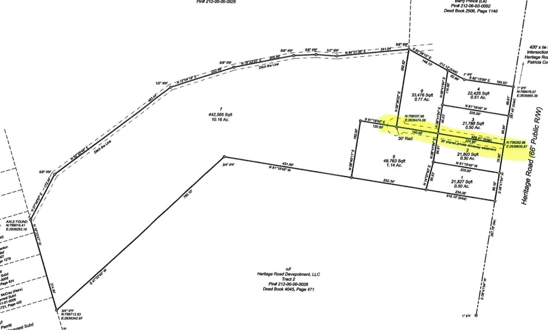
OFFERED FOR SALE: This Lot is a Total of approximately 0.51 Acres ready for Development. This Lot is located on Heritage Road in Loris, SC. This Lot has 99' of direct road frontage. Perfect for a Local Builder, or someone who would want a Large Country Lot. This Lot is located 3.10 Miles to Highway 9, and 3.4 Miles to the Heart of Downtown Loris. Easements are in place for access to the back lots, as well as for underground utilities. Grand Strand Water and Sewer Would provide service that does not require a Lift Station.
Agriculture / Farm
Horse: No
Association Fees / Info
Hoa Frequency: Monthly
Hoa: No
Bathroom Info
Building Info
New Construction: No
Zoning: FA
Buyer Compensation
Exterior Features
Spa: No
Financial
Garage / Parking
Garage: No
Carport: No
Open Parking: No
Attached Garage: No
Interior Features
Fireplace: No
Lot Info
Acres: 0.51
Land Lease: No
Lot Description: CityLot, IrregularLot
Misc
Pool Private: No
Offer Compensation
Other School Info
Property Info
County: Horry
Road Frontage Type: CountyRoad
View: No
Senior Community: No
Stipulation of Sale: None
Property Sub Type Additional: Residential,UnimprovedLand
Property Attached: No
Rent Control: No
Room Info
Sold Info
Tax Info
Utilities / Hvac
Electric On Property: No
Cooling: No
Sewer: PublicSewer
Heating: No
Water Source: Public
Waterfront / Water
Waterfront: No
Directions
USE Google Maps ;). Take Hwy 22 to Hwy 905 to Red Bluff Rd, left on Daisy Rd and right on to Heritage Rd.Courtesy of Bhhs Myrtle Beach Real Estate - Cell: 843-455-0362





Recent Posts RSS
MLS# 2529089
Provided courtesy of © Copyright 2025 Coastal Carolinas Multiple Listing Service, Inc.®. Information Deemed Reliable but Not Guaranteed. © Copyright 2025 Coastal Carolinas Multiple Listing Service, Inc.® MLS. All rights reserved. Information is provided exclusively for consumers’ personal, non-commercial use, that it may not be used for any purpose other than to identify prospective properties consumers may be interested in purchasing.
Images related to data from the MLS is the sole property of the MLS and not the responsibility of the owner of this website. MLS IDX data last updated on 12-19-2025 11:45 PM EST.
Any images related to data from the MLS is the sole property of the MLS and not the responsibility of the owner of this website.